Speaking of canals, are you busy Tuesday evening?
The Ross County Genealogical Society
announces November Speaker’s Program
Tuesday Nov. 11th – 7:30pm at 444 Douglas Avenue (Society Library)
Kevin B. Coleman, local resident and historian, will speak about:
“CHILLICOTHE’S SECOND CANAL – THE HYDRAULIC”
Please join us for an informative program, with interesting and historic facts you many have never heard about the canal system! Refreshments will be service and the program is open to the public.
This is an encore of my presentation in the Chillicothe Restoration Foundation’s July canal event. Lots of photos! Here’s a teaser:

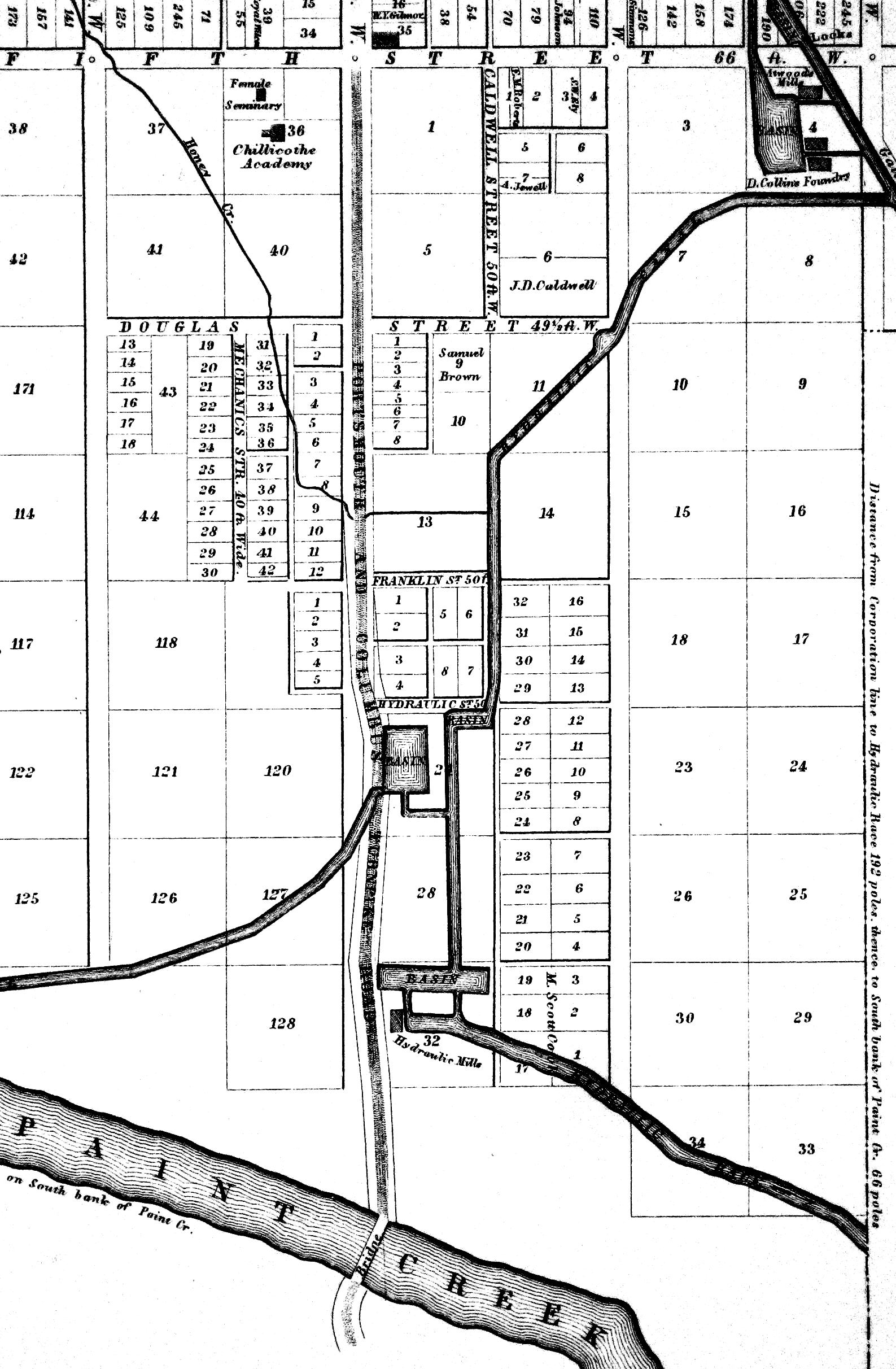
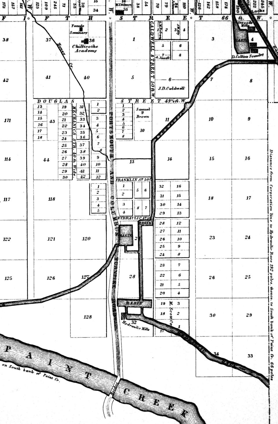
Ok, another teaser – from Wesson’s 1843 map of Chillicothe, showing the part of the canal in town:
See you at the canal! Er, at the genealogical society!
